^^^ Click any photo above to view full size ^^^
Interactive Map: Scroll to ZOOM. Click and drag to MOVE. (Use two fingers on mobile)
Address: 1411 + 1429 N Long St Salisbury, NC 28144
GPS: 35.674748, -80.451116
Exact Map Location: –> https://maps.app.goo.gl/qWdgcdfT2cPZDfFA7
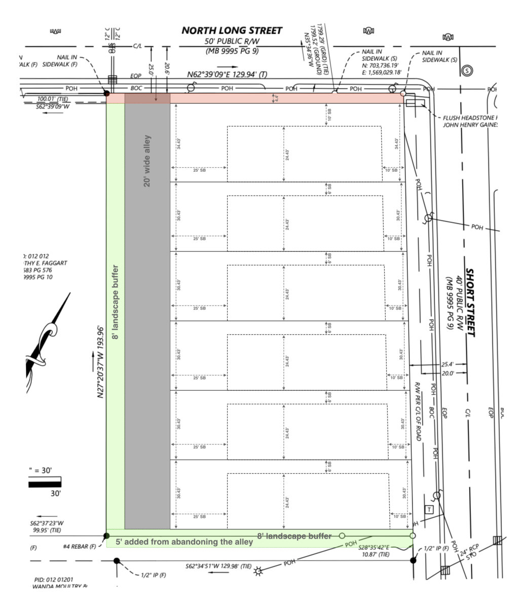
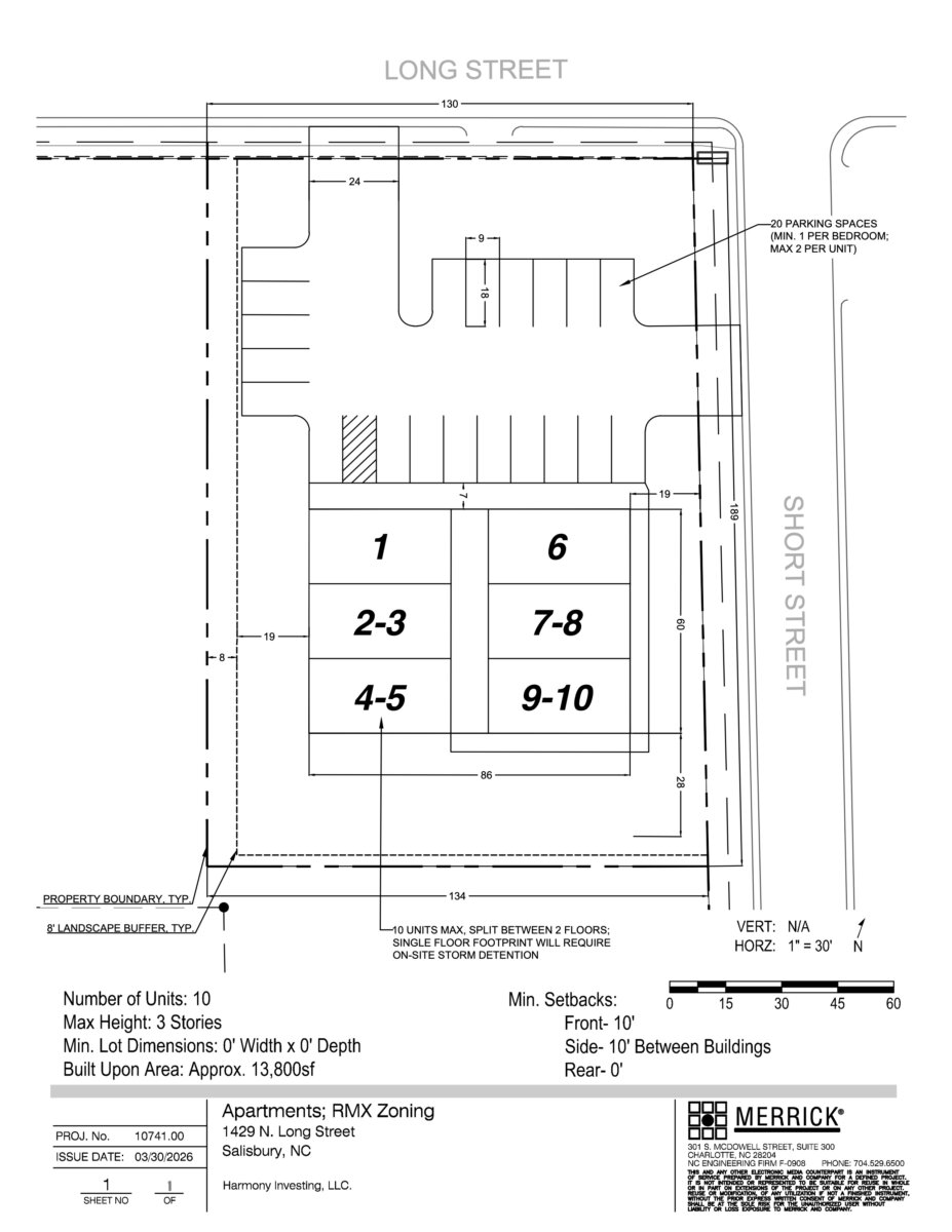
Two vacant lots for sale in Salisbury with sewer and water access, located on a corner, in RMX zoning which is a rare and extremely flexible zoning code. I have three preliminary site plans from my civil engineer showing the potential for 6 single-family homes, 9 townhomes, or 10 apartment units.

Price: $180,000
Property Details:
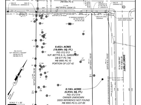
APN: 012 013 + 012 014
Acres: 0.59
Square Feet: 25,700
Zoning: RMX
Single Family House: YES, up to 6 of them!
Townhomes: YES, up to 9 of them!
Apartment Units: YES, up to 10 of them!
Road Access: Paved on two sides (corner lots)
City Water or Well: City Water
City Sewer or Septic: City Sewer
Power Available: Yes
Topography: FLAT
Land Surface: Grass and trees
A 2026 survey is already in hand:

The RMX zoning code even allows for commercial, institutional, and mixed-use site plans. Most other zoning codes in Salisbury do not allow you this much flexibility, and therefore it is difficult to find good land comps because there are not many RMX zoned lots close by which have sold recently.








Disclaimer
Buyer shall rely solely on their own research to inform their purchasing decisions regarding this property. All images and text found on this web listing are for conceptual and illustrative purposes only. Seller makes no guarantees, warranties, or representations about the land, its condition, what can be done on the property, or what can be built on the property.



